Para a realização da Serenata, o trânsito vai estar interrompido e vai ser proibido estacionar na Calçada Martim de Freitas (sentido ascendente), Largo D. Dinis, Rua Larga, Rua dos Estudos e Rua Inácio Duarte. Poderá, caso seja previsível muito afluência de público, ser necessário o corte de trânsito da Rua Padre António Vieira, Rua São João, Rua São Pedro, Rua Arco da Traição e Calçada Martim de Freitas (sentido descendente), a partir das 22h00 de hoje até à 1h00 da madrugada de amanhã. Vai ser, também, necessário suprimir lugares de estacionamento no Largo da Feira, Rua dos Estudos, Largo D. Dinis e Calçada Martins de Freitas, entre a meia-noite e as 10h00 de amanhã.

Para a Cortejo das Latas, vai haver cortes e condicionamento de trânsito na Rua Larga, Largo D. Dinis, Calçada Martim de Freitas, Praça João Paulo II, Rua Alexandre Herculano, Praça da República, Avenida Sá da Bandeira (sentido ascendente), Rua Olímpio Nicolau Rui Fernandes, Praça 8 de Maio, Rua Visconde da Luz, Rua Ferreira Borges e no Largo da Portagem, entre as 12h00 e as 22h00 do dia 6 de outubro, podendo ser antecipado de acordo com as condições do local. Vai haver, ainda, supressão de lugares de estacionamento na Rua dos Estudos, Praça D. Dinis, Calçada Martin de Freitas, dos dois lados da Rua Alexandre Herculano e Avenida Sá da Bandeira (sentido ascendente) das 00h00 do dia 6 de outubro até às 10h00 do dia 7.


A CM de Coimbra alerta, ainda, para a proibição de circulação de carrinhos de compras no cortejo. A sinalização que indica a interdição do acesso a carros conduzidos à mão, nos termos do Regulamento de Sinalização e Trânsito, será colocada em todo o trajeto do cortejo e a circulação dos carrinhos de compras ficará assim impedida, sendo a presença destes carrinhos fiscalizada pelas forças de segurança de serviço no evento. A autarquia apela a todos os estudantes que queiram participar na festa académica para que de forma imaginativa procurem alternativas à utilização deste tipo de carrinhos.
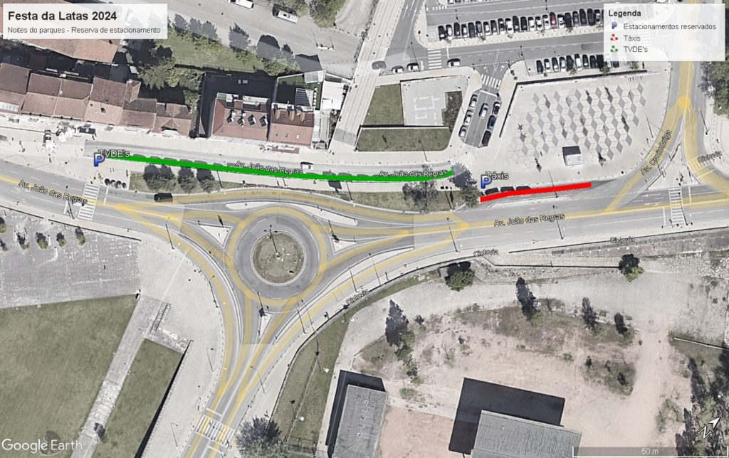
Devido às noites na Praça da Canção, que decorrem de 2 a 6 de outubro, vai ser criada uma zona reservada para a tomada e largada de passageiros, entre as 20h00 e as 6h00, e a reserva (e sinalização de estacionamento) para táxis junto à Praça das Cortes (na baia utilizada pelo Comboio do Património), bem como reserva (e sinalização de estacionamento para TVDE´s) na rua lateral da Avenida João das Regras.

Alterações à rede de transportes dos SMTUC (a partir das 14h00 de domingo, dia 6 de outubro)
LINHAS Nº 2T, 25, 30F, 50M, 50S e 50T – Efetuam o seu ponto de horário na zona do Arnado, enquanto a Rua da Sofia estiver interrompida ao trânsito.
LINHA Nº 4 e 103 – A Linha n.º 103, após as 14h00, suspende a circulação. A Linha n.º 4, enquanto a Rua da Sofia estiver encerrada ao trânsito, efetua percurso alternativo entre a Estação Nova e os Olivais, via Rua de Aveiro, Conchada e Cruz de Celas onde retoma o percurso. No regresso, a partir do Largo de Santana circula pela Rua Pedro Monteiro, Cruz de Celas, Avenida Calouste Gulbenkian, Rua Nicolau Chanterene, Conchada, Rua de Aveiro, Casa do Sal e Avenida Fernão de Magalhães.
LINHAS Nº 5F e 5T – Percurso alternativo, entre a Pedrulha e o Parque (Portagem), enquanto a Rua da Sofia e a zona dos Arcos do Jardim estiverem interrompidas. Na deslocação para a Portagem, após o Palácio da Justiça, circulam via Rua de Aveiro, Rua António José de Almeida, Cruz de Celas, Avenida Afonso Henriques, Rua Miguel Torga, Rua General Humberto Delgado e São José, onde retomam o percurso habitual. No regresso, após a Rua General Humberto Delgado, circulam via Rua Miguel Torga, Rua Pedro Monteiro, Cruz de Celas, Avenida Calouste Gulbenkian, Rua Nicolau Chanterene, Rua de Aveiro, Casa do Sal e Palácio da Justiça, onde retomam o percurso habitual.
LINHA Nº 6 – Percurso alternativo, entre o Cimo de Fala e os HUC, enquanto a Rua da Sofia estiver interrompida. Na deslocação para os HUC, circula via Avenida Fernão de Magalhães, Rua de Aveiro, Conchada e Rua António José de Almeida. No regresso dos HUC, após a Alameda Armando Gonçalves, Avenida Calouste Gulbenkian, Rua Nicolau Chanterene, Rua de Aveiro, Casa do Sal e Avenida Fernão de Magalhães. Com o encerramento ao trânsito da Portagem e Ponte de Santa Clara, inverte o sentido pela Avenida João das Regras e, em alternativa, circula pela Avenida da Guarda Inglesa e Ponte Açude, com passagem pela Estação Nova.
LINHAS Nº 7 e 7T – Percurso alternativo entre o Arnado, o Tovim e a Portagem, circulando alternativamente pelos percursos das duas Linhas, via Avenida Fernão de Magalhães, Casa do Sal, Rua de Aveiro e Cruz de Celas, deslocando-se, em ambos os sentidos, à Rua Lourenço Almeida Azevedo. Com o impedimento de circulação na Portagem, invertem o sentido na Ínsua dos Bentos.
LINHA Nº 9 – A viagem programada para as 19h15 (Parque), inicia na paragem da avenida João das Regras.
LINHA Nº 10 – Percurso alternativo, após as 15h00, a partir da Rua General Humberto Delgado, via S. José e Rua do Brasil, com inversão de marcha na Portagem. Com o impedimento da circulação na Portagem, inverte o sentido na Ínsua dos Bentos.
LINHA Nº 14T – Após o encerramento ao trânsito da zona da Portagem e Ponte de Santa Clara, efetua percurso alternativo entre a Estação Nova, Ponte Açude, Avenida da Guarda Inglesa e Avenida João das Regras, onde retoma o seu percurso, na ida para S. Martinho do Bispo.
LINHA Nº 18F e 23F – Após o encerramento ao trânsito da zona da Portagem e Ponte de Santa Clara, passam a iniciar serviço na Avenida João das Regras, circulando em ambos os sentidos pela Avenida Inês de Castro.
LINHA Nº 19T – Com o impedimento de circulação na Rua da Sofia, inverte o sentido no Arnado/Palácio da Justiça e efetua percurso alternativo pela Rua de Aveiro, Rua António José de Almeida, Cruz de Celas e Rua Lourenço de Almeida Azevedo, onde retoma o seu percurso habitual. A viagem com partida da Cova do Ouro, às 15h05, circula pelos HUC e, após a Rua Lourenço Almeida de Azevedo, efetua percurso alternativo pela Cruz de Celas, Avenida Calouste Gulbenkian, Rua Nicolau Chanterene, Rua de Aveiro, Casa do Sal e Avenida Fernão de Magalhães.
LINHA Nº 24 e 24T – Percurso alternativo entre o Arnado, o Bairro Norton de Matos e a Portagem, circulando alternativamente pelos percursos das duas Linhas, via Avenida Fernão de Magalhães, Casa do Sal, Rua de Aveiro, Cruz de Celas, Rua Santa Teresa, Rua Miguel Torga, Rua Carolina Michaellis e Estádio, deslocando-se, em ambos os sentidos, à Rua dos Combatentes (jardim escola). Com o impedimento de circulação na Portagem, invertem o sentido na Ínsua dos Bentos.
LINHA Nº 26 – As viagens das 17h00 e 19h05 iniciam na Rua Lourenço de Almeida Azevedo (Praça da República) e efetuam um percurso alternativo até à Solum, via Cruz de Celas, Rua Bernardo de Albuquerque, Olivais, Rua Sá Carneiro, Quinta da Maia e Rua Carolina Michaellis. No regresso de Chão do Bispo, a partir da rotunda da ACIC, desloca-se para a Rua Lourenço de Almeida Azevedo via Circular Interna e Avenida Bissaya Barreto.
LINHA Nº 27 – Não se desloca aos HUC e inverte o sentido no Arnado/Palácio da Justiça, onde efetua ponto de horário, enquanto a Rua da Sofia estiver interrompida. A viagem programada para as 19h45 inicia na Rua Lourenço de Almeida Azevedo (Praça da República), circulando pela Cruz de Celas, Avenida Calouste Gulbenkian, Rua Nicolau Chanterene, Rua de Aveiro, Casa do Sal e Avenida Fernão de Magalhães.
LINHA Nº 29 – Percurso alternativo na deslocação para os HUC, enquanto a Rua da Sofia estiver interrompida, via Avenida Fernão de Magalhães, Casa do Sal, Rua de Aveiro, Conchada (não efetua deslocação ao cemitério), Rua António José de Almeida e Cruz de Celas.
LINHA Nº 36F – Percurso alternativo entre os HUC e Ponte Eiras, enquanto a Rua da Sofia estiver interrompida, com passagem nos dois sentidos pelo Bairro do Ingote. Na deslocação para os HUC, circula via Rua de Aveiro, Rua António José de Almeida e Rua Lourenço de Almeida Azevedo. No regresso dos HUC, após a Rua Lourenço de Almeida Azevedo, circula via Avenida Calouste Gulbenkian, Rua Nicolau Chanterene, Rua de Aveiro e Palácio da Justiça.
LINHA Nº 38F – Percurso alternativo enquanto se mantiver o encerramento ao trânsito da Portagem e Ponte de Santa Clara. Entre o Planalto de Santa Clara e o Pólo II da UC, circula pela Avenida da Guarda Inglesa, Avenida João das Regras, Avenida Inês de Castro e Ponte Rainha Santa Isabel. No regresso, inverte o sentido na Ínsua dos Bentos e circula via Ponte Rainha Santa Isabel, Avenida Inês de Castro e Avenida João das Regras, onde retoma o seu percurso. Não efetua a viagem das 17h10 (Santa Clara).
LINHA Nº 43 – A viagem das 18h25 tem início na Ínsua dos Bentos, seguindo para Almalaguês via Ponte Rainha Santa Isabel.
Linha N.º 47F e 49T – Após o encerramento ao trânsito da zona da Portagem e Ponte de Santa Clara, as viagens destas linhas iniciam e terminam na avenida João das Regras.
LINHA BOTÂNICO – Não se efetuará durante todo o dia, por se encontrar encerrado o Jardim Botânico e a circulação na zona estar condicionada.
As Linhas retomam o seu habitual percurso, progressivamente, de acordo com as condições de circulação.