Os trabalhos de fresagem e repavimentação em betão betuminoso da Av. Fernão de Magalhães vão arrancar já na segunda-feira, durante o período compreendido entre as 20h00 e as 07h00, para minimizar os transtornos no trânsito, estando previsto o seu término no dia 25 de maio. A intervenção vai realizar-se em quatro fases: as primeiras duas no lado direito da via (no sentido Casa do Sal – rotunda da Princesa Cindazunda) – a 1ª fase será da Casa do Sal até à rotunda da Segurança Social e a 2ª fase da rotunda da Segurança Social até à rotunda do Arnado; e as duas últimas no lado esquerdo da via (no sentido rotunda do Arnado – Casa do Sal) – a 3ª fase será da rotunda do Arnado até à rotunda da Segurança Social e a 4ª fase da rotunda da Segurança Social até à Casa do Sal.
A intervenção vai obrigar a condicionamentos de trânsito, nomeadamente à supressão de uma das vias (da esquerda ou da direita, consoante a fase em curso), ao corte no acesso ao estacionamento existente por baixo do viaduto do IC2 (passando esse acesso a fazer-se por um percurso, devidamente assinalado, na Av. Fernão de Magalhães) e, nas duas primeiras fases, quando os trabalhos estiverem a ser realizados no sentido Casa do Sal – rotunda do Arnado, à interrupção do acesso à Av. Fernão de Magalhães pela Av. Cidade Aeminium. O caminho alternativo será através dessa avenida, passando pela rotunda da estação de Coimbra B, seguindo a rua do Padrão até à Av. Fernão de Magalhães. A circulação de veículos de emergência e de socorro estará sempre assegurada.
Recorde-se que esta intervenção está integrada na obra de requalificação do separador central do troço norte da Av. Fernão de Magalhães até à Casa do Sal, que visa melhorar as condições de segurança na circulação pedonal e criar uma via de acesso direto para veículos de emergência a caminho dos hospitais.
A obra foi consignada, em agosto passado, à empresa Civibérica – Obras Civis, SA., por 677.764 euros (IVA incluído), com um prazo de execução de 330 dias. A empreitada deu continuidade ao alargamento do lancil central na Av. Fernão de Magalhães, de 2m para 3m, entre a rua Padre Estevão e a Casa do Sal, substituindo-se os atuais lancis de betão com calçadinha por lancis de granito com relva. A intervenção contemplou, ainda, a instalação de um sistema de rega, a colocação de novas árvores e a instalação de pavimento podotátil junto às passadeiras.
Na Casa do Sal, que é um ponto de entrada na cidade, mas também um ponto de circulação e permanência de peões – pela sua proximidade à estação ferroviária e pela existência de um jardim para lazer e convívio de crianças –, a intervenção visou eliminar os lugares de estacionamento do separador central – por razões de segurança – e reforçar a componente paisagística com o alargamento da área relvada e a colocação de novas árvores. A circulação pedonal foi reforçada em locais mais seguros, como os separadores e os passeios laterais. Foi, ainda, criada uma faixa de circulação para veículos de emergência na Casa do Sal, aproveitando a configuração atual do separador central.
A empreitada englobou, também, a intervenção na rua Figueira da Foz – que teve início em novembro passado, com o objetivo de colmatar a ausência de passeio em alguns pontos da rua e de alargar, na confluência com a Casa do Sal, no sentido descendente, a faixa da direita que dá acesso à estrada de Coselhas – e a intervenção nesta estrada consistiu na reformulação e melhoramento do passeio que dá continuidade aos passeios da Av. Fernão de Magalhães e rua Figueira da Foz, com a plantação de árvores e respetivas caldeiras, do lado nascente. A empreitada previu ainda a reformulação de infraestruturas elétricas e de telecomunicações, trabalhos de rede de drenagem, trabalhos de paisagismo e a execução do passeio em calçada.
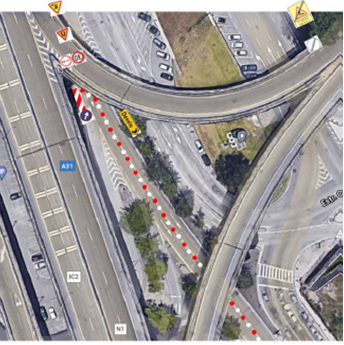
Zona de intervenção:

Esquemas de Sinalização a implementar:
